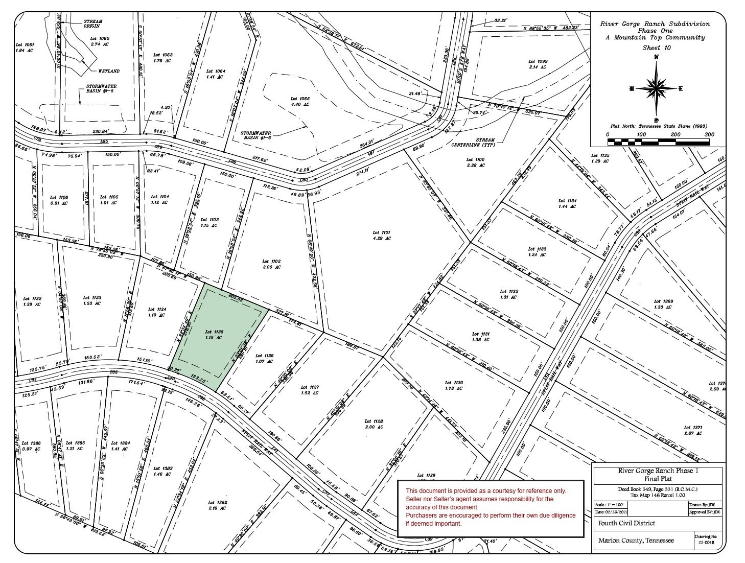
Mountaintop Homesite, 1.15 Acres
Lot 1125 Split Rail Way : Guild, TN 37340
Marion County, Tennessee
Shown by Appointment Only
Land Description
Mountaintop Homesite. 1.15± Acre lot located at the Front of the Gated River Gorge Ranch community, offering convenient access to the newly open Riverdance Restaurant.
This lot combines the privacy of a wooded setting with a gentle slope, underground utilities, and ready-to-build infrastructure. Residents enjoy remarkable TN River Views, nearby outdoor recreation, and thoughtfully-planned Resort Style Amenities.
Village Square amenities coming include retail, fitness, pavilion, and Pool.
Enjoy quick connections to I-24, putting Chattanooga just 30 minutes away, and easy reach of Nashville, Atlanta, and Knoxville within 2.5 hours. Build your dream mountain home on a large lot in River Gorge Ranch, where nature, convenience, and community come together.
(Any and all property lines on photos are simulated and are approximate. Buyer is responsible to do their due diligence to verify that all information is correct, accurate and for obtaining any and all restrictions for the property deemed important to Buyer.)
Directions to Land
From Downtown Chattanooga: Take Hwy 27S to I-24. Take the Birmingham/Nashville (I-59) exit. Continue on I-24 for approximately 8 miles. Take Exit 161. Turn R onto Hwy 156. Turn R onto Hwy 134 (J.E. Clouse Hwy). Turn L at River Gorge Ranch entrance. Road to property is not complete. Use longitude and latitude to identify location of site.
More Land Details
More Land from Todd Henon
383.4 AC : $1.5M
18.1 AC : $2.95M
1 AC : $299K
1.5 AC : $115K
151.8 AC : $1.95M
1.5 AC : $325K
New44.1 AC : $2.75M
1.3 AC : $550K
2.8 AC : $250K
1 AC : $150K
13.5 AC : $1.23M
31.5 AC : $800K




















