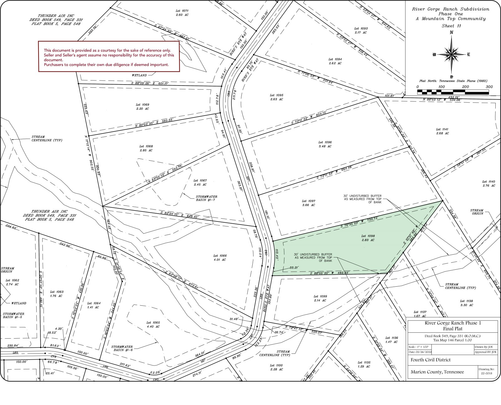
2.83 Acre Site in River Gorge Ranch
Lot 1098 Birds Eye Way : Guild, TN 37340
Marion County, Tennessee
Shown by Appointment Only
Land Description
Nearly 3 Acre Homesite in River Gorge Ranch.
Welcome to Lot 1098 - offering space, privacy, and direct access to one of Tennessee's most exciting new communities near the TN River. Nestled among a community with views of the Tennessee River, this property is pre-approved for a 3-bedroom home and already equipped with power, water, and gig-speed fiber internet.
Conveniently located just 30 minutes from Jasper, Kimball, and South Pittsburg, and only 25 minutes from downtown Chattanooga, you'll also enjoy easy access to I-24 and be within 2.5 hours of Nashville, Atlanta, and Knoxville.
Life at River Gorge Ranch will soon include a 27-acre Village Square with dining, retail, a fitness center, luxury pavilion, rental cabins, a pool, pond, and outdoor recreation spaces. Whether you're building your forever home or creating a private getaway, Lot 1098 offers the perfect blend of mountain seclusion, modern convenience, and resort-style living. Schedule your private showing today.
(Any and all property lines on photos are simulated and are approximate. Please reference maps and directions prior to visiting property/community. Buyer is responsible to do their due diligence to verify that all information is correct, accurate and for obtaining any and all restrictions for the property deemed important to Buyer.)
Land Maps & Attachments
Directions to Land
From Downtown Chattanooga: Take Hwy 27S to I-24. Take the Birmingham/Nashville (I-59) exit. Continue on I-24 for approximately 8 miles. Take Exit 161. Turn R onto Hwy 156. Turn R onto Hwy 134 (J.E. Clouse Hwy). Turn L at River Gorge Ranch entrance. Continue on Aetna Mountain Road. Turn right onto Birds Eye Way, stay right to stay on Birds Eye Way. Property on right.
More Land Details
More Land from Todd Henon
383.4 AC : $1.5M
18.1 AC : $2.95M
1 AC : $299K
1.5 AC : $115K
32 AC : $799K
151.8 AC : $2.25M
1.5 AC : $325K
1.3 AC : $550K
10 AC : $799K
31.5 AC : $800K
9.3 AC : $975K
13.5 AC : $1.23M





















