Freedom in West Texas
Dell City, TX 79847
Hudspeth County, Texas
Land Description
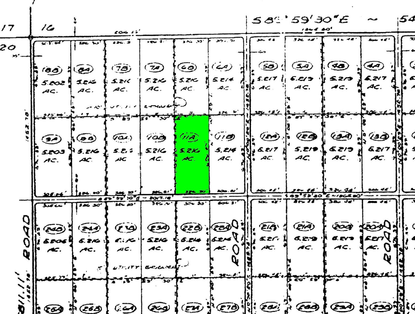
Discover the freedom and wide-open beauty of West Texas with this 5.21-Acre property in Guadalupe Ranch, Section 21, Lot 11A, located in peaceful rural Hudspeth County.
Positioned approximately 1.5 miles west of FM Road 1437 and about 8 miles south of the main intersection in Dell City, this property sits in a quiet area known for its privacy, sweeping desert landscapes, and stunning mountain views. Whether youre looking for a full-time homestead, an off-grid getaway, or a long-term land investment, this spacious acreage gives you the flexibility to make it your own.
Hudspeth County is one of the most freedom-friendly counties in Texasthere is no zoning, no Hoa/Poa, and no restrictive covenants. You are free to camp, RV, or live on your land without restrictions, as long as you follow basic county and state regulations. Use the land as a private vacation retreat, bring an RV for weekend adventures, or start building the off-grid homestead youve always wanted.
If you choose to build, road access can be created by grading along the road easements 0.3 mile south from Clydesdale Road, then about 109 yards west to reach Lot 11A. Another option is to grade the road easement along the southern side of the property approximately 1.5 miles east to FM Road 1437. Many buyers simply hold land here as an investment and choose to grade when they are ready, and you can do the same. You can complete the work yourself with a skid steer or hire a local operator.
The surrounding landscape is classic Dell Valley terrainrich soil made up of topsoil and sandy loam. The ground is gently rising to the south, with a mix of native grasses, cactus, and sagebrush, , offering beautiful natural scenery and excellent privacy. Sunrises and sunsets over the nearby mountain ranges are genuinely breathtaking.
We offer simple, direct in-house financingno credit checks and everyone qualifies for the same terms. Whether you are looking for a quiet escape, a future homestead location, or a safe long-term investment, this 5.21-Acre parcel gives you space, freedom, and incredible potential in one of Texass most open and unrestricted areas.
If you have been shopping for land, you know that cheap high quality land like this is becoming scarce. You should buy now before the price inevitably increases.
With an initial payment of $294 we can finance the balance for as little as $130.04 per month over 8 years. Or you can choose to buy the property outright instead of financing, and receive a 10% cash discount.
For more information or to purchase, please click on the green Land Website button below.
Land Maps & Attachments
Directions to Land
From El Paso, drive east on US-180 / US-62 for 65 miles.
Turn left onto FM Road 1437.
5.6 miles later turn left onto Clydesdale Road at 31.828263 -105.201189.
1.56 miles later the property will be 300 yards to your left.
More Land Details
More Land from Samantha Stephens
0.3 AC : $4K
0.8 AC : $18K
0.4 AC : $5K
0.3 AC : $3K
1.2 AC : $9K
New5 AC : $15K
1 AC : $15K
7.5 AC : $12K
1 AC : $4K
0.3 AC : $4K
0.3 AC : $12K
1.3 AC : $60K




















