Hillside Lot, Power & Water Serv
Cloudcroft, NM 88317
Otero County, New Mexico
Land Description
Cash Price: $16,000
Terms Offered: 20% Down Payment of $3,200, 9.9% Interest Rate, $350 Monthly Paymen, 36 Month Term
Location & Size
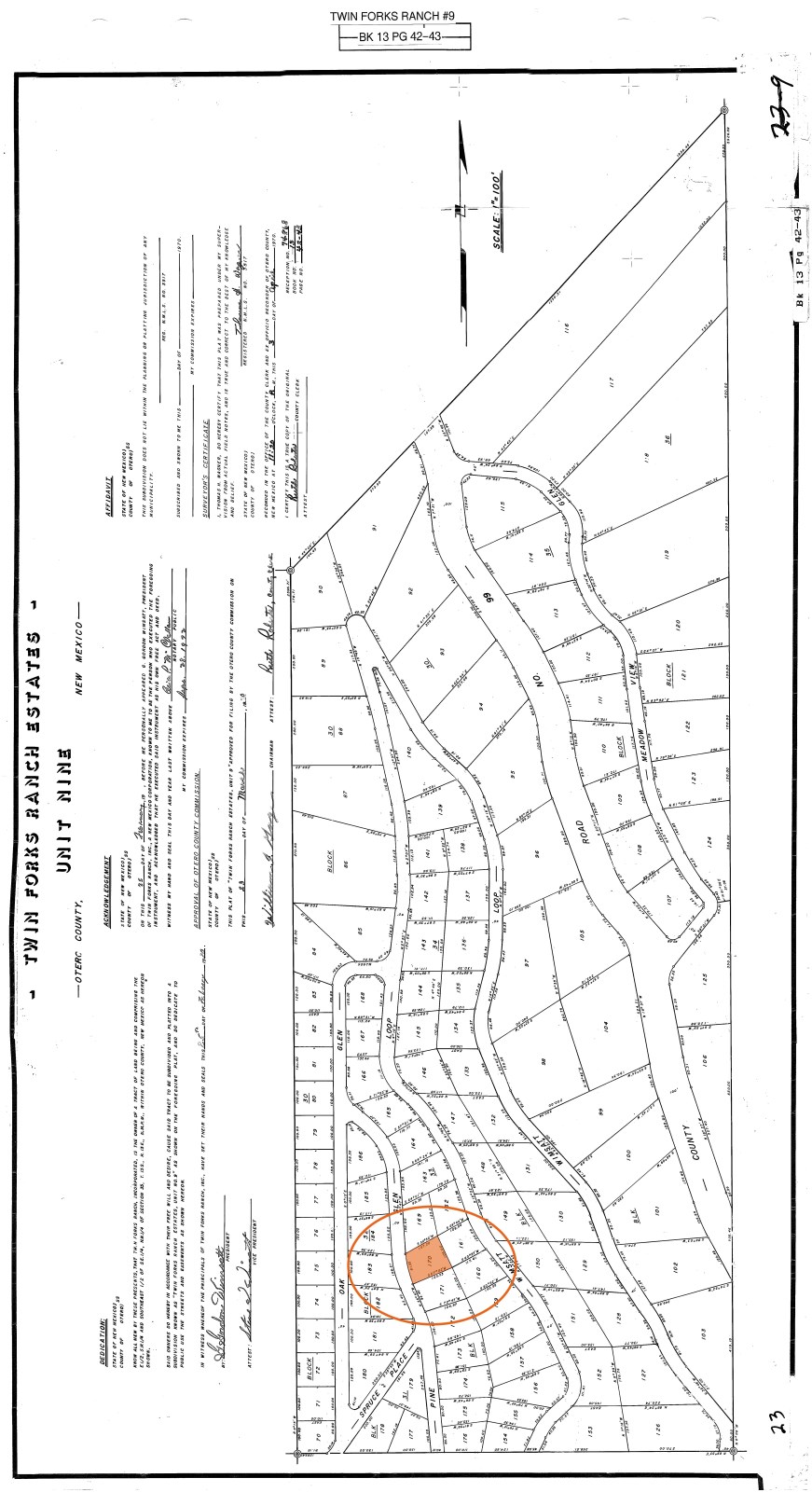
The subject property is a.28 acre parcel located in Twin Forks Ranch Estates, a forested residential community situated along US Highway 82 just east of Cloudcroft.
County, State: Otero County, New Mexico
Lot Size: 0.28 Acres
Nearest Town: Cloudcroft
Street Address: Not Designated
Zip Code: 88317
Latitude & Longitude:
Center: 32.96220,-105.64960
Nw: 32.96240,-105.64950
Ne: 32.96230,-105.64980
Sw: 32.96200,-105.64970
Se: 32.96220,-105.64930
Legal Information
Legal Description: Twin Forks Ranch Estates, Unit 9, Block 33, Lot 170
Parcel Number: 11O466
Account Number: R050110
Annual Taxes: $77.00
Access & Utilities
Roads & Access: The subject property is located along Pine Glen Road. Like most of the roads in this subdivision, Pine Glen consists of graded dirt and gravel. While this road may be easy to navigate in ideal conditions, it's important to remember that this is a mountainous terrain which experiences a fair amount of snow in the winter. Because of this, a larger truck or off-road capable vehicle is recommended for anyone visiting the property.
Power & Utilities: Residential power lines can be found running throughout the Twin Forks Ranch Estates community, including along the back or eastern end of the subject property as well as servicing a number of nearby developed home sites. Because of this, it should be both easy and affordable to get power connected on this parcel. Anyone looking to investigate the costs associated with getting service to the subject property is encouraged to contact the Otero County Electric Cooperative, the local utility servicing this region.
Water Service: The Twin Forks Water Association supplies residents with year-round water service. This will prove a tremendous savings to anyone looking to develop their property because it means you will not have to drill a well. In addition, because of the size of the lot, if this service did not exist, it would mean numerous additional permits from the state would be required before drilling could even commence. In Twin Forks Ranch Estates, however, this has all been simplified, allowing any resident to get water to their property. Anyone who would like to learn more about installing a tap on their property can visit the Twin Forks Water Association website here.
Water Service, Cont'd: As per the Twin Forks Water Association, the new connection fee is $1,812.50 and they offer a fixed rate water bill of $60.00 per month. It appears there are also other billing arrangements that can be reached for seasonal owners or those looking to pay on an annual basis.
Legal Access: Yes
Access Road: Pine Glen
Access Condition: Well-Maintained Dirt & Gravel Roads
Access Frontage: 92 Ft Western Boundary
Power: At The Lot Line
Phone: In The Area
Water: Community Well
Twin Forks Water Association Connection Fee: $1,812.50
Water Bill: $60.00/Month (Fixed Rate)
Sewer: By Septic
Zoning & Restrictions
Zoning: Otero is one of a handful of New Mexico Counties which have no formal County-wide zoning ordinance and defer instead to towns and municipalities within their borders to make their own rules. As this property is located in "Unincorporated" Otero County that means it is outside the jurisdiction of even the most "small government" town. This means that aside from state-wide regulations such as building codes or environmental ordinances, there are no governmental restrictions about how the land may be used or developed.
No Hoa: Twin Forks Ranch Estates has no HOA and there are no annual dues associated with land ownership here.
Covenants, Conditions & Restrictions: When the Twin Forks Ranch Estates subdivision was first created, the developer drew up a set of covenants and restrictions to run with the land. While most of these are what we like to refer to as "reasonable, good neighbor restrictions" dealing primarily with the disposal of trash and prohibitions on excess noise, there are a few covenants that deal with acceptable structures or use of the land. Because of this, anyone considering purchasing the land is encouraged to review the Twin Forks Ranch Estates Covenants and Restrictions document linked here.
Covenants, Conditions & Restrictions, Cont'd: Notable restrictions enumerated in the above-linked document include: Homes built within Unit 9 (where the subject property is located) must have a minimum of 640 square feet of heated area; Temporary structures such as trailer, tents and RVs may be used during the construction of a permanent home site but will need to be removed once said home site has been completed; Home construction must be “structurally sound and finished attractively”; Construction must be completed within 18 months from the time of ground-breaking; No livestock including horses, cattle, fowl or swine may be housed on the land.
Time Limit On Building: Anyone purchasing land in Twin Forks Ranch Estates is not obligated to develop their property. Those that do, however, will need to complete construction within eighteen months of the ground-breaking.
Zoning: No Formal Zoning Designation
HOA: Yes - Cloud Country West Poa
Covenants, Conditions & Restrictions: Yes
Annual Dues: None
Time Limit On Building: 12 Months From Ground-Breaking
Misc.
National Forest: The subject property is located in the heart of the Lincoln National Forest. This means not only that you'll have easy access to the many trails, campgrounds and picnic areas that surround this region, but your new home will be visited frequently by neighboring deer and elk (see photos in the gallery at the bottom of this page).
Topography: It should be noted that like many parcels in this forested and mountainous region, the subject property has a pronounced slope with its highest point being along its western end at Pine Glen Road and descending to its lowest point along its back or eastern end. This, however, is a common feature of the topography throughout the Cloudcroft region, with many homes being constructed with stilts or pilings. We have included a number of photos in the gallery at the bottom of this page to give prospective buyers a better sense of the many ways homes can be developed on terrain like this. That said, any contractor local to the region will likely have dealt with such a slope before and be well-equipped to build a code compliant and structurally sound home here.
James Canyon Volunteer Fire Department: It should be noted that just across the street from Twin Forks Ranch Estates is a volunteer fire department which services the many residential subdivisions along Highway 82. This can be a tremendous benefit, particularly in a densely forested region such as this where fire mitigation is crucial to preserving the residents' way of life.
Title Info
Title: Free & Clear
Liens and Encumbrances: None
Mineral Rights: None
Recent Survey: None
Title Insurance: Yes - Insured Through Pioneer Abstract & Title
Conveyance Document: Warranty Deed
Suggested Type Of Closing: Title/Escrow
Doc Prep Fee: Waived
Nearby Towns
Alamogordo: 26.5 miles (38 min)
Ruidoso: 41 miles (1 hr)
Las Cruces: 94 miles (1 hr 43 min)
El Paso, TX: 115 miles (1 hr 59 min)
Deming: 159 miles (2 hr 40 min)
Albuquerque: 229 miles (3 hr 39 min)
Nearby Attractions
Lincoln National Forest
Ski Cloudcroft
Ski Apache
Ruidoso Downs Racetrack & Casino
Ruidoso Winter Park
Explore Las Cruces
White Sands National Park
Spaceport America
NM Museum Of Space History
Organ Mountains & Desert Peak National Monument
Land Maps & Attachments
More Land Details
More Land from William Hemingway
1 AC : $10K
10.7 AC : $35K
5.8 AC : $18K
2.5 AC : $12K
1.1 AC : $30K
1.7 AC : $14K
5 AC : $8K
5.1 AC : $12K
0.3 AC
0.5 AC
New0.2 AC : $20K
1 AC : $1.6K




















