Free Of Planning & Zoning
Magdalena, NM 87825
Socorro County, New Mexico
Land Description
Terms Offered: $2,500 Down Payment + $250 Monthly Payment x 42 Months; 180 Days Same As Cash
Location And Size
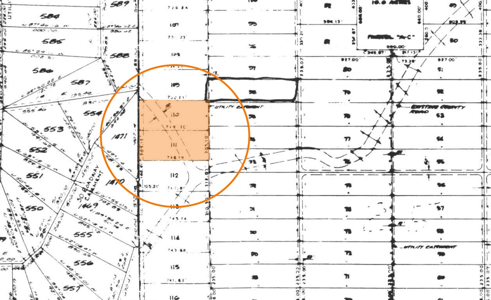
The subject property is a 10.24 acre lot (a combination of two adjacent 5+ acre parcels) located in Valle De Manana, a rural residential subdivision situated roughly twenty miles north of Magdalena in the remote hill country of Socorro County.
County, State: Socorro County, New Mexico
Lot Size: 10.24 Acres
Nearest Town: Magdalena
Street Address: Not Designated
Zip Code: 87825
Latitude & Longitude:
Center: 34.45670,-107.21860
Nw: 34.45760,-107.21980
Ne: 34.45760,-107.21740
Sw: 34.45590,-107.21980
Se: 34.45590,-107.21730
Legal Information
Legal Description: Valle De Manana, Block 2, Lots 110 & 111
Parcel Number:Z19 & Z11
Account Number: R024237 & R024229
Annual Taxes: $30.00
Access & Utilities
Roads & Access: The subject property is located in a remote area roughly twenty miles west of the I-25 and twenty miles north of US Highway 60. While Valle De Manana is a developed subdivision where roads were created to give every property owner legal access, it's important to remember that these roads are not regularly maintained or trafficked. That said, our photographer reported surprisingly decent driving conditions, and stated anyone with a larger truck or off-road capable vehicle should encounter little difficulty.
Roads & Access, Cont'd: The Valle De Manana subdivision can be approached from the I-25 outside of Belen along State Road 12 or from Highway 60 outside Magdalena along Forest Road 354 (which eventually becomes State Road 12). In addition, County Road 51 branches off the State Road and both run through portions of this rather large subdivision and provide access to property owners in whatever corner of the community they own land in. Point being, despite snaking through miles of open desert, the driving conditions can be reasonable once you know where you're going.
Roads & Access, Cont'd: Anyone looking to scout the property is advised to study a map prior to driving into the region. A mapping app such as Land ID can be particularly helpful in an area such as this where not every road has a name, and not every named road has a sign. In addition, taking a spare tire with you is probably also a good idea.
Power & Utilities: Despite its remote setting, the Valle De Manana subdivision is one which boasts power lines and underground utilities, most notably running the length of Forest Road 354 and County Road 51. These utilities can be found here as well in other parts of the subdivision servicing the few developed home sites in the area. Regrettably, the subject property sits roughly a half mile south of the nearest utility easements. Because of this, those looking to develop the property are advised to investigate alternative forms of energy such as solar panels. Anyone looking to investigate the cost of getting power extended and connected to the subject property is encouraged to contact either PNM or Socorro Electric Cooperative, two utility companies servicing this region.
Legal Access: Yes
Access Road: Unnamed
Access Condition: Dirt Roads
Access Frontage: Undefined
Power: 1/2 Mile From Subject Property; Solar/Alternative
Phone: Mobile/Satellite
Water: By Well or Holding Tank
Sewer: By Septic/Alternative
Zoning & Restrictions
Zoning: Socorro County has no formal zoning ordinance, and per their own government website "does not restrict the use of real property" within the county boundaries.
This fact alone makes the area ideal for anyone with an RV who's looking for land they can vacation to, camp on, or park and live on for lengthy periods of time without being disturbed by local constables enforcing zoning ordinances. This also makes the area fitting for other types of "unconventional" dwellings such as earth ship homes, tiny homes and shipping container homes, typically difficult to get permitted elsewhere.
No Hoa: Valle De Manana has no HOA and there are no annual dues associated with land ownership.
Covenants, Conditions & Restrictions: In addition to having no Hoa, Valle De Manana has no covenants, conditions or restrictions (Ccrs) recorded with the County. This means there are no subdivision restrictions on land use either.
Disclosure: Prospective buyers are encouraged to keep in mind that while Socorro County has no formal zoning and the subdivision has no recorded restrictions, land in this region will still be subject to state-wide laws, building codes and environmental regulations. This is especially true as it pertains to how waste is disposed of and wells are drilled and installed. The NM EPA oversees septic permits and the State Engineer is responsible for well permits and are two organizations you or your contractor will deal with eventually. State regulations aside, however, Socorro County remains one of the most ideal places in New Mexico for developing land with as few ordinances to conform to as possible.
Zoning: No Formal Zoning Designation
HOA: None
Covenants, Conditions & Restrictions: None
Annual Dues: None
Time Limit On Building: None
Title Info
Title: Free and Clear
Liens and Encumbrances: None
Mineral Rights: None
Recent Survey: None
Title Insurance: Yes - New Mexico Land & Title
Conveyance Document: Warranty Deed
Suggested Type Of Closing: Title/Escrow
Doc Prep Fee: Waived
Nearby Towns
As noted, the town of Magdalena is located roughly thirty minutes south of the subject property. Here you'll be able to find some small mom and pop stores, gas stations and a post office. For larger grocery and supply runs you'll need to venture into either the town of Socorro or Belen. In either of these locations, you'll be able to find big box stores such as Walmart and Home Depot as well as grocery stores, fast food restaurants, pharmacies and medical services.
Magdalena: 30 miles (1 hr 18 min)
Belen: 43 miles (1 hr 10 min)
Los Lunas: 56 miles (1 hr 20 min)
Albuquerque: 76 miles (1 hr 20 min)
Nearby Attractions
The Sevilleta National Wildlife Refuge is situated just east of the Valle De Manana subdivision along State Road 12. This is one of the largest refuges in the National Wildlife Refuge system in the continental U.S. making it ideal for hiking, camping, picnics and general site-seeing. In addition, Elephant Butte Lake, the largest body of water in the state, is located only ninety miles south of the subject property in neighboring Sierra County. This region boasts excellent recreation opportunities such as fishing, boating, jet skiing, camping and RV'ing and may provide excellent weekend getaways for you and the family.
The Sevilleta National Wildlife Refuge
Abo Canyon
Alexander Municipal Airport
Bosque Del Apache National Wildlife Refuge
Manzano Mountains State Park
Rio Salado River
Salinas Pueblo Missions National Monument
Land Maps & Attachments
More Land Details
More Land from William Hemingway
New1 AC : $8K
1.3 AC
1.2 AC : $16K
0.3 AC : $16K
10.7 AC : $35K
5.8 AC : $18K
2.5 AC : $12K
1.1 AC : $30K
1.7 AC : $14K
1.4 AC : $15K
5.1 AC : $12K
0.3 AC




















