Lots of Space in Oregon Pines
Sprague River, OR 97639
Klamath County, Oregon
Land Description
Do not miss out on this opportunity to own this 1.56 acre property in Oregon Pines. Located at the intersection of Oregon Pines Road and Allynpine Road, this property is easily accessible and offers spectacular views of the mountains. You are close to many local trails and other activities. You can escape the city life, but still have access to necessary amenities. You are also within a couple hour's drive to Crater Lake National Park, so you can explore the area surrounding the deepest lake in North America.
The towns of Sprague River and Beatty are close by for all your essential needs, such as food and gas. There are also some local restaurants and a library. This is the perfect property to get away from it all or to build your dream home on.
This property is priced at half of what similar properties sell for in this area. Hurry, it will not last long at this price. Buy it now.
Property Information:
State: Oregon
County: Klamath
Nearest City/ies: Sprague River, Klamath Falls
Address: Oregon Pines Rd., Sprague River, OR 97639
Subdivision: Oregon Pines
Apn: 282713
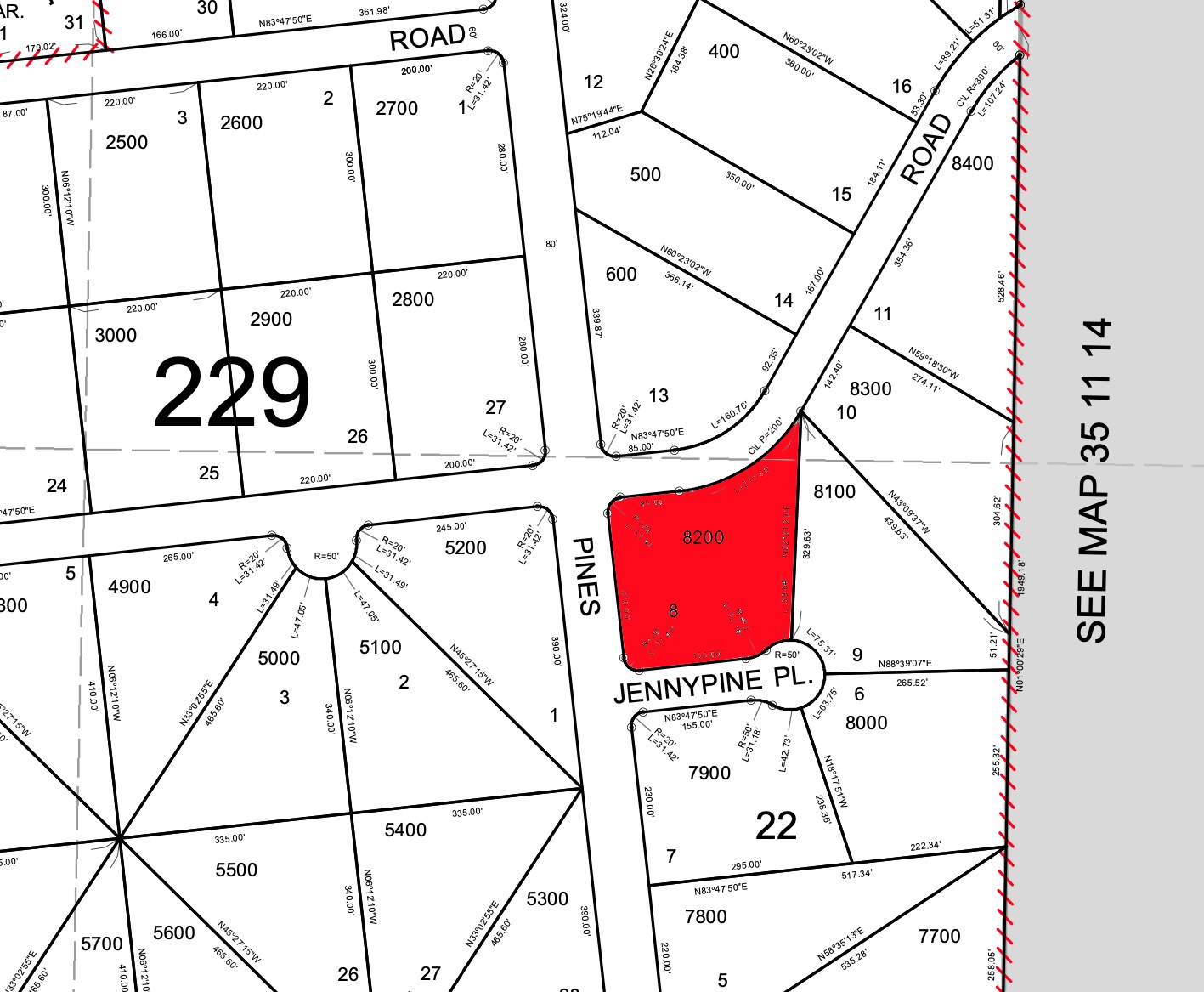
Map Tax Lot: 3511-014C0-08200
Legal Description: Oregon Pines Block 22 Lot 8
Parcel Size: 1.56 acres / 67,953.6 sq.ft.
Access: Oregon Pines Rd. (dirt road)
Terrain: Level
Power: Off Grid / Solar / Alt
Water: Well or holding tank, installed by buyer
Septic: Installed by buyer
Title: Clear title
Conveyance: Special Warranty Deed
Document Fee: $400
Zoning: R2 Residential
Buildable: Yes
Mobile Homes Allowed: Yes
Camping Allowed: Yes (21 days per 6 months)
HOA: None
Taxes: $41/Year (paid current)
Elevation: Approximately 4,630 ft.
GPS Center: 42°31'56"N, 121°22'50"W
Gps NW Corner: 42°31'57"N, 121°22'51"W
Gps NE Corner: 42°31'58"N, 121°22'48"W
Gps SW Corner: 42°31'54"N, 121°22'51"W
Gps SE Corner: 42°31'55"N, 121°22'48"W
All The Information We Have On This Property Is Disclosed Within The Content Of This Listing Page. In Most Cases, We Have Not Seen This Property. Any And All Other Questions Regarding This Property Should Be Directed Toward The City Or County Of Which The Property Is Located In. Your Due Diligence Should Be Performed Prior To Buying, To Ensure The Property Meets Your Needs And Criteria
Good Luck and Happy Adventures.
Land Maps & Attachments
Directions to Land
Google directions link can be found on our website.
From downtown Klamath Falls, take S 6th St. for 5 miles. Turn left onto HWY 140 E and continue for 35 miles. Turn left onto Bliss Rd. and continue for 3 miles. Turn left onto Drews Rd. and continue for 0.8 miles. Turn right onto Oregon Pines Rd. and continue for 6.8 miles to the property.








