Bargain Priced 1.66 Acres Near Blm
Lot #9 Loveless Rd : Beatty, OR 97621
Klamath County, Oregon
Land Description
Cash price: $5,995 or just $100 /month owner financed.
Buy or finance this property today through our land website link below.
Check out this amazing secluded 1.66 acre property in Beatty. This remote property is located near the Winema National Forest and has beautiful views in every direction. This is an off grid location with lots of privacy and freedom. No neighbors around to bother you here. This is the perfect place to escape to. Here you can camp, build your dream cabin and enjoy the silence and beauty of nature. There is abundant wildlife in the area with great hunting and fishing all around you here. The National Forest is less than 1 mile to the north with 1,000'S of acres you can explore anytime.
This property is secluded enough for you to live peacefully uninterrupted yet close enough to larger areas for supplies and medical needs. The small town of Beatty is 11 miles away. Klamath Falls is 40 miles away with all the shopping and modern conveniences you could need. It's close to Crater Lake, the Sprague River and the National Forest with endless recreational opportunities.
Priced at a fraction of similar properties in this area. This property won't last long at this price. Don't miss it.
Property Info:
State: Oregon
County: Klamath
Nearest City: Beatty, Sprague River, Klamath Falls
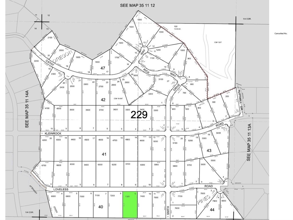
Subdivision: Oregon Pines
Address: Lot 9 Loveless Rd. Beatty, OR 97621
Apn: 280234
Legal: Oregon Pines Block 40 Lot 9
Parcel Size: 1.66 acres 200' x 360'
Access: Loveless Rd.
Terrain: Level
Power: Off grid /solar/ alt
Water: Well/storage tank (installed by buyer)
Sewer: Septic (installed by buyer)
Title: Clear title
Conveyance: Special Warranty Deed
Document Fee: $495
Zoning: R-1 Residential
Buildable: Yes
Mobiles allowed: Yes
Camping allowed: Yes (21 days per 6 months)
HOA: None
Taxes: $40/Year (paid current)
Elevation: Approx 4300'
Gps Center: 42.5369, -121.3643
Gps NW corner: 42.537368, -121.364776
Gps NE corner: 42.537368, -121.364776
Gps SW corner: 42.536377, -121.364708
Gps SE corner: 42.536385, -121.363949
Guaranteed Financing
No Credit Check
0% Interest
No Prepayment Penalty
10% Discount on Remaining Loan Balance if Paid Early in Cash.
Visit our website to set up financing for this property today.
Land Maps & Attachments
Directions to Land
Google directions link can be found on our website link above.
From Beatty:
Head west on OR-140 W toward Godowa Springs Rd
2 sec (125 ft)
Continue on Godowa Springs Rd. Take Oregon Pines Rd to Loveless Rd
37 min (11.9 mi)
More Land Details
More Land from Ray Therault
2.3 AC : $20K
0.2 AC : $18K
1.1 AC : $20K
2.3 AC : $25K
2 AC : $19K-
2.3 AC : $12K
0.3 AC : $25K
1.1 AC : $19K
1.5 AC : $8K
1.5 AC : $10K
1.7 AC : $10K
1.7 AC : $8K



















